года приводит к развитию мощных и обширных инверсий, под
которыми часто образуется подинверсионная волнистая об-
лачность. Эта облачность иногда опускается очень низко и
выглядит неподвижным туманным слоем слоистых облаков;
она покрывает иногда очень большие площади (например,
почти всю европейскую часть Советского Союза) и может
держаться много дней, пока не разрушится антициклон и не
исчезнет инверсия.
Рассматривая синоптические карты за ряд последователь-
ных сроков, мы обнаруживаем, что барические системы не
остаются неизменными, а с течением времени меняют свою
конфигурацию и перемещаются.
Рассмотрим расположение барических систем на карте за
9 час. 9 января (приложение II).
Районы Прибалтики, Польши занимает циклон, вытянутый
с СЗ на ЮВ с ложбиной на Румынию. Довольно обширный
циклон виден в Западной Сибири; от него тянется к юго-за-
паду ложбина. Над севером Скандинавии имеется центр анти-
циклона, являющийся одним из ядер обширной области вы-
сокого давления, занимающей Баренцево море и север евро-
пейской территории Советского Союза. От этого антицикло-
на в юго-восточном направлении на европейскую часть Совет-
ского Союза тянется широкий гребень, доходящий до Каспий-
ского моря. Другой антициклон с несколькими небольшими
ядрами повышенного давления занимает юг центральной Ев-
ропы (Италия, Балканы, Средиземное море); от него тянется
небольшой гребень на район Северного моря. Седловина на-
мечается немного северо-восточнее Каспийского моря.
По значкам у отдельных станций нетрудно видеть, что в
областях антициклонов и гребней преобладает ясная или ма-
лооблачная погода, слабые ветры и туманы. В областях же,
занятых циклонами и ложбинами, преобладает пасмурная по-
года с осадками.
Обратясь к карте за 21 час 9 января (приложение III),
можно отметить, что за истекшие 12 часов циклон с Прибал-
тики переместился к юго-востоку на Украину на расстояние
800 км со средней скоростью около 65 км/час; циклон в За-
падной Сибири переместился к СВ на расстояние около
500 км. Ось широкого гребня над европейской частью Совет-
ского Союза сместилась к востоку и сам гребень преобразо-
вался в седловину; антициклон на севере Скандинавии сме-
стился немного к югу; несколько ослабел антициклон над
Швейцарией.
ВЕТЕР НА ВЫСОТАХ ВЫШЕ УРОВНЯ ТРЕНИЯ
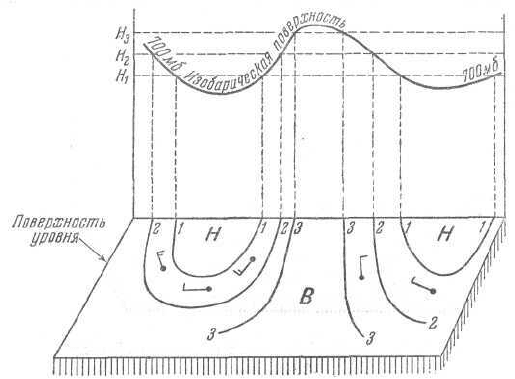
Выше мы видели, что вблизи земной поверхности ветер
дует под углом к изобарам (рис. 48), а начиная с высоты
500 м,— параллельно изобарам. Из рисунка, видно, что в слое
120